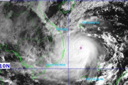
Cơn bão khổng lồ Fung-Wong vào Biển Đông sáng 10/11, hoạt động trái quy luật
Cơn bão Fung-Wong đang hoạt động ngoài khơi của Philippines dự báo sẽ đi vào Biển Đông vào sáng 10/11. Cơn bão có kích thước khổng lồ này ít khả năng tác động đến đất liền nước ta.

















